Používáme cookies k optimalizaci našich webových stránek a našich služeb. Další informace o cookies najdete zde.

Nastavení


Prodej st. pozemků 4.428 m2 s RD č.p. 130 pro výstavbu 5 – 7 RD u Mladé Boleslavi, Kosmonosy, za 15.000.000,- Kč.

Prodej st. pozemků 4.428 m2 s RD č.p. 130 pro výstavbu 5 – 7 RD u Mladé Boleslavi, Kosmonosy, za 15.000.000,- Kč.

Popis nemovitosti

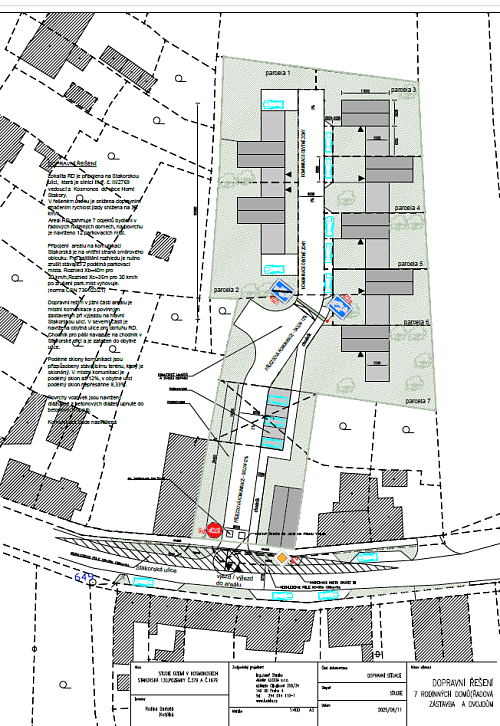
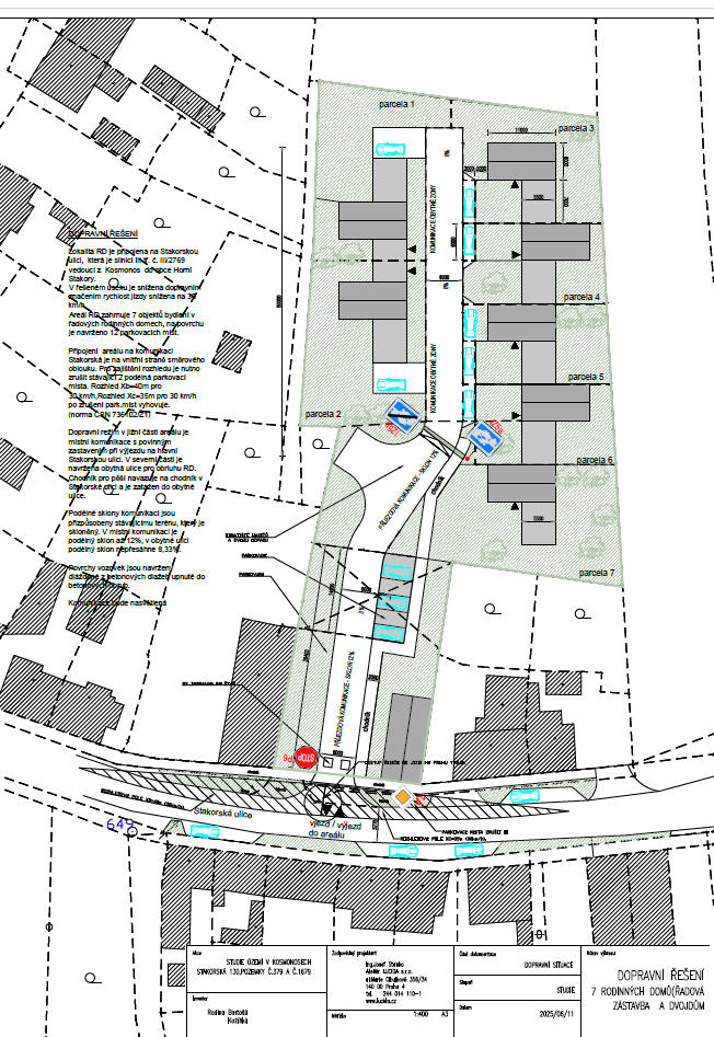
Jedná se o prodej RD i stavebních parcel ve velice lukrativním předměstí Mladé Boleslavi v obci Kosmonosy, Stakorská ul. č.p. 130, a to včetně prověřené a precizně zpracované architektonické studie pro výstavbu RD od renomovaných architektů. Jedna varianta nabízí výstavbu pěti rodinných domů a druhá sedm rodinných domů v řadové zástavbě a dvojdům. Součástí prodeje jsou i schválená stanoviska a vyjádření od Dopravního inspektorátu policie ČR, Vodovodů a kanalizace Mladá Boleslav, inženýrsko – geologické posouzení lokality aj. – v nich je obsaženo cca 6 měsíců práce profesionálního týmu.

Jedná se o parcely p.č. 379 – zastavěná plocha a nádvoří o výměře 849 m2, jejíž součástí je stavba rodinného domu č.p. 130 o zast. pl. ca 120 m2, který je dlouhodobě neobývaný, aktuálně neobyvatelný a v havarijním stavu, klasifikace dle územního plánu SM - bydlení smíšené obytné městské, výška stavby 8,5 m, koeficient zastavitelnosti 40%, a parcela p.č. 1679 – zahrada o výměře 3579 m2, dle úp BI - bydlení individuální, výška stavby 8 m, zastavitelnost 60%.

Veřejná kanalizace, vodovod, elektřina i plyn jsou uloženy v ulici Stakorská. Veškerá občanská vybavenost i vjezd na dálnici D 10 se nacházejí v blízkém dosahu. Blízkost nejúspěšnějšího výrobního areálu v ČR -  Škoda Auto i připravenost výstavby na těchto parcelách nadchne každého developera i moudrého investora. V místě se také nachází turisticky atraktivní Zámek Kosmonosy, Klášter piaristů, Loreta, Přírodní rezervace Vrch Baba a nedaleko každého milovníka přírody potěší kouzelný Český ráj.

Prodejní cena 15.000.000,- Kč právní služby advokáta za sepis kupní smlouvy, smlouvy o úschově i advokátní úschovu kupní ceny do 10.000,- Kč včetně poplatku pro katastr za vklad kupní smlouvy a provizi pro RK.

Videoprohlídka

Roman Jomrich

Jsem realitní makléř a již od roku 1997 let pomáhám lidem v Liberci i jiných městech, co nejlépe prodat nebo pronajmout jejich nemovitosti – byty, domy, pozemky aj. Poskytuji kompletní realitní servis a výši své provize jsem ochoten přizbůsobit představě prodávajícího.

K inzerci používám profesionální fotografie, videoprohlídky, záběry z dronu i 3D scan. Nabídky prezentuji na nejpoužívanějších portálech.

Jsem oprávněn a připraven profesionálně realizovat aukce při prodeji bytů, domů a pozemků.

Společně prodáme za nejvyšší cenu, bezpečně a k vaší spokojenosti.

Neváhejte, volejte 777 744 241. Děkuji.

 Roman Jomrich - Váš makléř.


Roman Jomrich

Kontaktní formulář

Stáhnout PDF